
PADIダイビングショップ アリエス
〒151-0071 東京都渋谷区本町6-37-8 渡辺ビル1F
1~4月営業日時:12:00~19:00 定休日 :水・木曜日・不定休があります
ダイビングのお問合わせはこちらへ
留守番電話になった際はお問い合わせ
フォームよりご連絡をお願い致します
03-6276-5758
水深50cmから、オヤビッチャの群れ、ニザダイの幼魚、ブルーのソラスズメダイが群れてる。
一番の根の先端を目指し、沖へ沖へ。
急に真っ暗になったと思ったら、黒い雲の固まりのようなキビナゴの大群。
そこに何十匹ものカンパチが襲いかかっていく!
先端では今日もサクラダイやキンギョハナダイが舞っている。
高低差のある断崖絶壁に、沖に緩やかな斜面で広がっていく白砂、
いつ見てもこの光景はきれい。
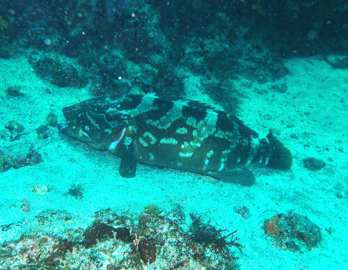
クエ穴の方に進んで行くと、白砂の上に寝そべる、でっかい魚。
130cmもある、でかいクエがホンソメワケベラにクリーニング中。
このクエが体長もさることながら、丸々とぶっとくて大迫力!
戻り際、岩場では2cmほどのナノハナスズメダイ、
浅瀬でイシガキダイが何匹も集まって食事中。
2本目は、正面の砂地から、また1番の根の先端を周るコース取り。
ゴロタと砂地の際でタツノイトコを見たあと、アオリイカの産卵床に向かうと、
大きいものでは60cmあるアオリイカが何十杯も産卵中!
その後、1番の根で真っ赤なラインが鮮やかなスジハナダイを見て、再びクエ穴の方へ。
そのすぐ横にいたのが、体長2cmの超絶かわいいキツネベラの幼魚!
小さいほど目の比率が大きくて、
すぐ育っちゃうから、可愛い姿を見られるのは今のうちだけ。
その後も、砂地に寝るメーター級のヒラメを見て、もう戻ろうかと思ったら、
今度は120cmの立派なコブを持つコブダイが自分たちの周りをぐるぐる、ぐるぐる。
楽しすぎて、なかなかこの場所を離れられない(笑)
奥には40cmくらいのコブダイの若魚もいたけど、もうこれ以上ここにはいられない。
本当はオクリダシの入江にいるというアカハチハゼの幼魚も狙いたかったけど、エアの残りも少ないしやめておこう。
いやー、見るものが多すぎてダイビング時間が足りない(^^)
海も良く、美味しい昼食も食べて、
「これで渋滞がなければ完璧な一日だね」なんて話をしてたら、
道もガラガラで、店に到着したのが17時。
ゲストからのログコメントにも「大きいものから、小さいものまで見れて楽しかった」の文字
パーフェクトな一日でしたね\(^o^)/
< 関連ページ >
☆ 伊豆海洋公園ダイビングツアー< テーマは泳ぐこと! > 2017年6月7日
☆ 伊豆海洋公園ダイビングツアー< 新年会ツアー > 2015年1月12日
2019年7月3日(水)

<東京発・伊豆海洋公園ダイビングツアーならダイビングショップアリエスへどうぞ!>
伊豆海洋公園ファンダイビングはリクエスト制で週末、平日問わずお一人様から、シングルチャージなし、送迎付きで開催します。
ツアーの特長はこちらをご覧ください → <ツアーに行きたい>
アリエスを初めてご利用頂く方はレンタル器材無料です!
<お問い合わせ&お申込み>Tel : 03-6276-5758 E-mail : info@alies.jp
お気軽にお問い合わせください
03-6276-5758
電話受付時間 :12:00~19:00(お問い合わせフォームは24時間受付)
*留守番電話になりましたら、お問い合わせフォームよりご連絡をお願い致します。
(電話番号が履歴に残りません)
1~4月定休日:水・木曜日・不定休があります